Refunds vary by sale price, market and are subject to a minimum commission. Please get in touch and read the Refund Terms and Conditions to learn more.
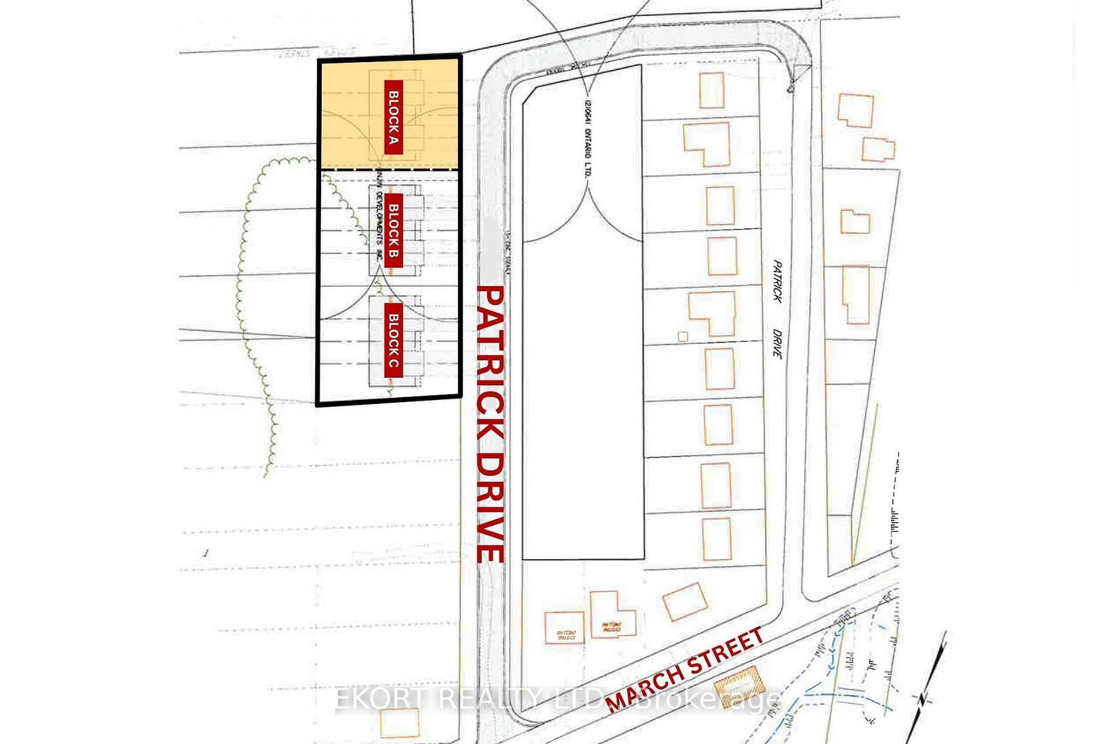
An exceptional development opportunity in a growing community! This 0.42-acre townhouse development block offers a proposed plan for a 4-plex townhouse, making it an ideal investment for builders or developers. Known as Block A, the site features 119 feet of frontage and 153 feet of depth, providing ample space for an efficient layout. The property has been recently rezoned to R3-23, allowing for townhouse development and expanding the range of permitted uses. In addition to Block A, there are two other available blocks, bringing the total potential acreage to 1.3 acres across all three parcels. With zoning approvals already in place, this property is ready for the next stage of planning and design.
City: Hastings
Neighborhood: Frankford Ward

| Purchase Price | $600000 |
| Down Payment | $120000 |
| Mortgage Insurance | $0 |
| Total Mortgage | $480000 |
| Mortgage Payment | $2958 |
| Property Taxes | $31 |
| Maintenance Fees | $0 |
| Monthly Payment | $2989 |
Sold Comparables homes near Patrick Dr, Hastings
Located at 0 Patrick Dr Unit #A, this Hastings house is available for sale. This property was listed for $600,000 on Fri Oct 03 2025. This house's size is 119 x 152 Feet. It has null bedrooms and null bathrooms. The property includes the following rooms: , , , , , , , , , , , . 0 Patrick Dr, Hastings is situated in the Frankford Ward neighbourhood.
MLS#: X12443634 · $600,000 · null bedroom house in Frankford Ward, Hastings